
প্রকাশ: ১ জুলাই ২০২৪, ৩:৫৬

আটলান্টিক মহাসাগরে সৃষ্ট হারিকেন বেরিল ‘চরম বিপজ্জনক’ ঝড়ে পরিণত হয়ে দক্ষিণ-পূর্ব ক্যারিবীয় অঞ্চলের উইন্ডওয়ার্ড দ্বীপপুঞ্জের দিকে ধেয়ে যাচ্ছে। অধিক শক্তি সঞ্চয় করে ক্যাটাগরি-৩ থেকে ক্যাটাগরি-৪ ঝড়ে পরিণত হওয়া এই ঝড় ঘিরে ওই অঞ্চলে ব্যাপক ক্ষয়ক্ষতি ও হতাহতের আশঙ্কা করা হচ্ছে।
সোমবার উইন্ডওয়ার্ড দ্বীপপুঞ্জে অত্যন্ত বিপজ্জনক এই ঝড়ের অগ্রভাগের আঘাত শুরু হতে পারে বলে ওই অঞ্চলের দেশগুলোতে সর্বোচ্চ সতর্কতার পাশাপাশি জরুরি অবস্থাও জারি করা হয়েছে। কর্মকর্তারা বলেছেন, বন্যা, জলোচ্ছ্বাস এবং প্রাণঘাতী তীব্র গতিবেগের বাতাসের কারণে ব্যাপক ধ্বংসযজ্ঞ চালাতে পারে হারিকেন বেরিল।
বিপর্যয়কর এই ঝড়ের তাণ্ডব মোকাবিলায় ক্যারিবীয় অঞ্চলের দেশগুলোর কর্তৃপক্ষ বিভিন্ন ধরনের পদক্ষেপ নিয়েছে। স্থানীয় বাসিন্দারা ঝড়ের আগাম প্রস্তুতি হিসেবে ইতোমধ্যে খাদ্যসামগ্রী ও অন্যান্য নিত্যপণ্য মজুত করার জন্য দোকানগুলোতে হুমড়ি খেয়ে পড়ছেন। এমনকি গ্যাস স্টেশনে স্টেশনে পেট্রোলের জন্য গাড়ির দীর্ঘ সারি দেখা গেছে।
সেন্ট ভিনসেন্ট ও গ্রেনাডাইন্সের প্রধানমন্ত্রী রালফ গনসালভেস বলেছেন, তিনি একটি প্রাকৃতিক দুর্যোগের প্রত্যাশা করছেন; যা কয়েকদিন ধরে চলতে পারে। যুক্তরাষ্ট্রের ন্যাশনাল হারিকেন সেন্টারের (এনএইচসি) তথ্য অনুযায়ী, চলতি বছরের আটলান্টিক হারিকেন মৌসুমের প্রথম অস্বাভাবিক ও ভয়ঙ্কর হারিকেন বেরিল ইতোমধ্যে ক্যাটাগরি-৪ ঝড়ে পরিণত হয়েছে।
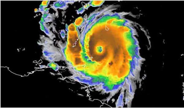
এনএইচসি বলেছে, এর আগে সোমবার সকালের দিকে কিছুটা দুর্বল হয় ক্যাটাগরি-৩ হারিকেন বেরিল। পরে কয়েক ঘণ্টার মধ্যে ঝড়টি আরও শক্তি সঞ্চয় করে ক্যাটাগরি-৪ ঝড়ে পরিণত হয়েছে। এ সময় ঝড়ের কেন্দ্রে ঘণ্টায় সর্বোচ্চ ১৯৩ কিলোমিটার বাতাসের গতিবেগ রেকর্ড করা হয়েছে। যার ফলে হারিকেন বেরিল আঘাত হানার সময় বাতাসের গতিবেগ ১৫৫ মাইল বা ২৫০ কিলোমিটার পর্যন্ত পৌঁছাতে পারে। ঝড়টি বর্তমানে বার্বাডোজ থেকে ১৮০ কিলোমিটার দক্ষিণপূর্বে অবস্থান করছে।
মার্কিন এই হারিকেন সেন্টার বলেছে, মঙ্গলবার সকালের দিকে উইন্ডওয়ার্ড দ্বীপপুঞ্জে বিপর্যয়কর গতিবেগের বাতাস নিয়ে আঘাত হানতে পারে এই ঝড়। এনএইচসির সতর্ক বার্তায় বলা হয়েছে, বেরিল অত্যন্ত বিপজ্জনক হারিকেন হিসেবে আঘাত হানবে বলে আশঙ্কা করা হচ্ছে। কারণ ঝড়ের মূল অংশটি উইন্ডওয়ার্ড দ্বীপপুঞ্জের মধ্য দিয়ে পূর্ব ক্যারিবীয় অঞ্চলের দিকে ধেয়ে যাচ্ছে।
ঝড়ের পথে থাকা লোকজনকে সরিয়ে নেওয়ার এবং ক্ষয়ক্ষতি মোকাবিলার প্রস্তুতির বিষয়ে কর্তৃপক্ষকে মনোযোগ দেওয়ার পরামর্শ দিয়েছে সংস্থাটি। বার্বাডোস, সেন্ট লুসিয়া, সেন্ট ভিনসেন্ট ও গ্রেনাডাইনস, গ্রানাডা এবং টোবাগোতে হারিকেন সতর্কতা কার্যকর করা হয়েছে। এছাড়া মার্টিনিক, ত্রিনিদাদ, ডোমিনিকান প্রজাতন্ত্রের কিছু অংশ এবং হাইতির কিছু এলাকার জন্য গ্রীষ্মমন্ডলীয় ঝড় সতর্কতা জারি করা হয়েছে।

ঝড়ের তাণ্ডবে সম্ভাব্য ক্ষয়ক্ষতি প্রশমনে টোবাগো কর্তৃপক্ষ ইতোমধ্যে হাজার হাজার মানুষকে আশ্রয় কেন্দ্রে সরিয়ে নিয়েছে। এছাড়া সোমবার দেশটির সব শিক্ষাপ্রতিষ্ঠান বন্ধ ঘোষণা করা হয়েছে। একই সঙ্গে দেশটির হাসপাতালগুলোতে সোমবার কোনও অস্ত্রোপচার হবে না বলেও নাগরিকদের জানিয়ে দেওয়া হয়েছে।
হারিকেন বেরিলের প্রভাবে সোমবার দিনভর বার্বাডোস ও উইন্ডওয়ার্ড দ্বীপপুঞ্জজুড়ে ৮ থেকে ১৫ সেন্টিমিটার বৃষ্টিপাত হতে পারে বলে প্রত্যাশা করা হচ্ছে। এর ফলে কিছু ঝুঁকিপূর্ণ এলাকায় আকস্মিক বন্যা দেখা দিতে পারে বলে সতর্ক করে দিয়েছে এনএইচসি। এদিকে, পুয়ের্তো রিকো ও হিস্পানিওলার দক্ষিণ উপকূলীয় এলাকায় উঁচু জলোচ্ছ্বাস ও সামুদ্রিক ঢেউ আছড়ে পড়তে পারে বলে আশঙ্কা করা হচ্ছে।
আবহাওয়াবিদদের মতে, আটলান্টিক মহাসাগর লাগোয়া অঞ্চলে হারিকেনের মৌসুম ১ জুন থেকে ৩০ নভেম্বর পর্যন্ত চলে। চলতি বছরে ওই অঞ্চলে বেশ কয়েকটি হারিকেন আঘাত হানতে পারে বলে সতর্ক করে দিয়েছেন তারা।
২০২৪ সালের আটলান্টিক হারিকেন মৌসুমের প্রথম হারিকেন বেরিল। গত শুক্রবার আটলান্টিক মহাসাগরে এই ঝড়ের সৃষ্টি হয়। পরে দ্রুত সময়ের মধ্যে শক্তি সঞ্চয় করে ক্যাটাগরি–৪ মাত্রার হারিকেনে পরিণত হয়েছে বেরিল।
সাধারণত বাতাসের তীব্রতার ভিত্তিতে হারিকেনকে বিভিন্ন শ্রেণিতে বিভক্ত করা হয় রেটিং সিস্টেম সাফির সিম্পসন স্কেলে। এই স্কেল অনুযায়ী ক্যাটাগরি-৩ বা এর বেশি ক্যাটাগরির ঝড়কে সবচেয়ে শক্তিশালী হারিকেন হিসেবে মনে করা হয়। ক্যাটাগরি-৪ হারিকেনে বাতাসের গতিবেগ ঘণ্টায় ২০৯ কিলোমিটারের বেশি হতে পারে।
গত মাসে ন্যাশনাল ওশানিক অ্যান্ড অ্যাটমোস্ফিয়ারিক অ্যাডমিনিস্ট্রেশন (এনওএএ) চলতি মৌসুম সম্পর্কে সবচেয়ে ভয়াবহ সতর্কতা জারি করে। পূর্বাভাসবিদরা বলেছেন, ২০২৪ সালে আটলান্টিক অঞ্চলে অন্তত ২৫টি ঝড় আঘাত হানতে পারে। এসব ঝড়ের মধ্যে আট থেকে ১৩টি হারিকেনে পরিণত হওয়ার সম্ভাবনা রয়েছে।
এছাড়া এসব ঝড়ের মধ্যে চার থেকে সাতটি যেকোনও জায়গায় শক্তিশালী হয়ে ক্যাটাগরি-৩ বা আরও তীব্র হারিকেনে রূপ নিতে পারে। যা স্বাভাবিক সংখ্যার দ্বিগুণেরও বেশি। সমুদ্রের তাপমাত্রা রেকর্ড উষ্ণ হয়ে ওঠার কারণে ওই অঞ্চলে ঘনঘন হারিকেনের সৃষ্টি হচ্ছে বলে আবহাওয়াবিদরা জানিয়েছেন।